钓鱼论坛

 找回密码
 注册
搜索
»论坛 钓友会 打龟的一天
1 2 3 下一页
发新帖
查看: 880|回复: 32
打印 上一主题 下一主题

打龟的一天

等级:12(钓之王者)

发送私信

楼主
发表于 2025-10-30 19:16

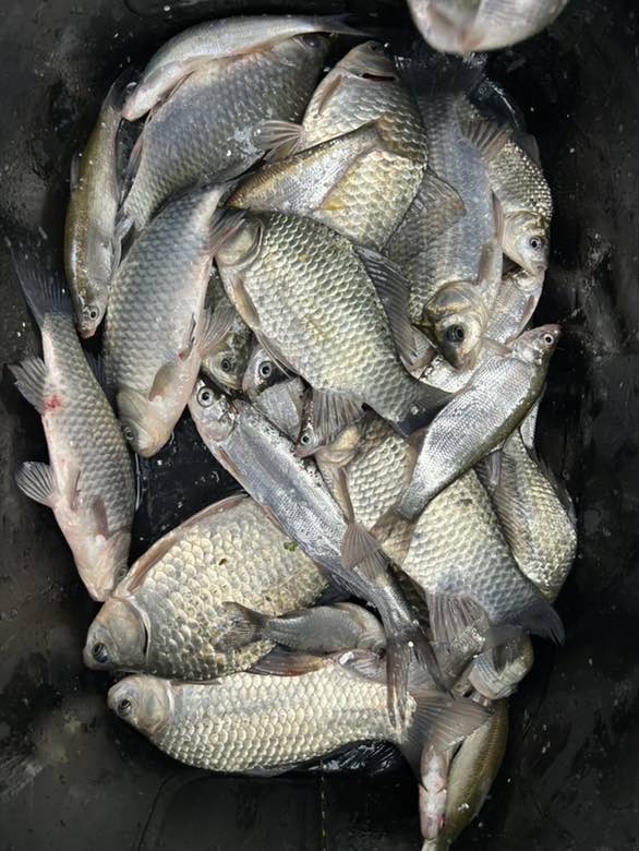
送完小孩到水边都九点多了,早口也没搞到晚口也没搞!四点就收摊了!7.2金牛NS真滴舒服的雅痞!

等级:12(钓之王者)
发送私信
1
发表于 2025-10-30 19:17

大湖的野鲫鲫还是好吃,肥的狠没有鱼籽!

等级:9(修身扬钓)
发送私信
2
发表于 2025-10-30 19:20

我很好奇你用什么漂,看得见吗???

等级:12(钓之王者)
发送私信
3
发表于 2025-10-30 19:37

宝飞龙龙眼C06的2号吃铅3.1克,没记错漂尾1.0不加粗!阴天没办法还能勉强看清楚,有太阳这个漂就很亮了

等级:14(一代宗师)
发送私信
4
发表于 2025-10-30 19:43

傻逼楼主,我刚装逼,你就拆穿我,?,以后记得私发给我的图片不可外传

等级:9(修身扬钓)
发送私信
5
发表于 2025-10-30 20:07

哈哈黑名你发的图片除了白条其他鱼获都是不信的

等级:12(钓之王者)
发送私信
6
发表于 2025-10-30 20:11

给我发两个太空豆就满足你

等级:10(有道钓师)
发送私信
7
发表于 2025-10-30 20:17

下次我给你发

等级:9(修身扬钓)
发送私信
8
发表于 2025-10-30 20:22

板子漂亮

等级:11(钓之霸者)
发送私信
9
发表于 2025-10-30 20:46

CEO渔获照片找我啊,全年不重样,冬天他们都光头的时候我还能搞十斤八斤

等级:11(钓之霸者)
发送私信
10
发表于 2025-10-30 20:52

7.2ns和龙君至尊7.2对比,选哪个

等级:13(大智钓士)
发送私信
11
发表于 2025-10-30 20:52

下回私发给黑名好了,做人要善良一点

等级:6(青年钓才)
发送私信
12
发表于 2025-10-30 20:56

同款1块8毛的红健抄网用了三年了,今天弄丢了,是不是你捡到了?

1 2 3 下一页
发新帖

您需要登录后才可以回帖 登录 | 注册

QQ:46519734  微信:fishiwaiting  作者:XiaoHui.Liao| 手机App| | 亮证经营 | 钓鱼论坛 沪ICP备16006546号-1

GMT+8, 2026-05-20 12:07 , Processed in 0.45841700

Powered by bxfish360! V1.0

© 2015-2026 钓鱼论坛 Inc.